Sở hữu ngay nhà riêng 68 m2 tại Phường Thạnh Lộc - Quận 12 - TP Hồ Chí Minh, giá 5,46 tỷ

Phường Thạnh Lộc, Quận 12, TP Hồ Chí Minh

Giá: 5,46 Tỷ

Diện tích: 68 m2

Giá/m2: 80,29 Triệu/m2

1037953

Mua bán

Thông tin mô tả

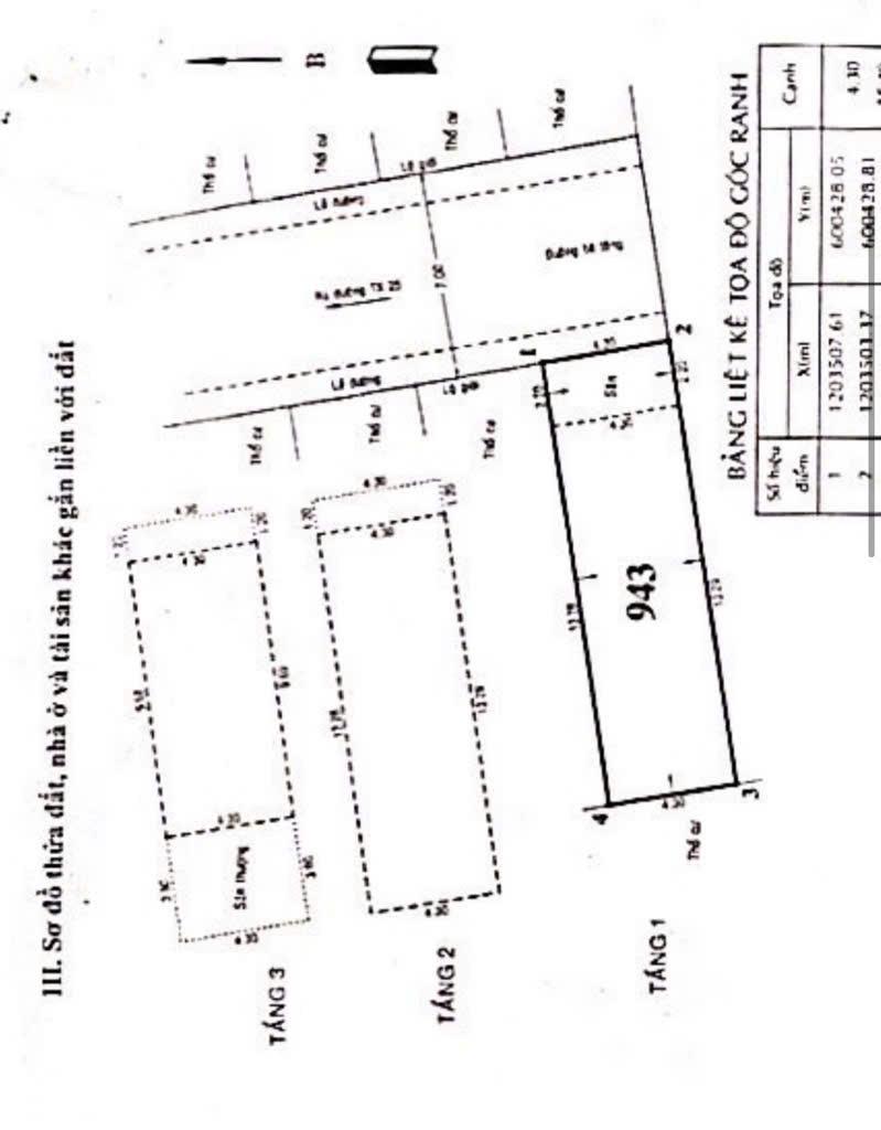
DT: 4 x 17

Kết cấu: 1 Trệt, 3 lầu, gồm 3 phòng ngủ rộng, Phòng khách, khu bếp, Phòng Thờ, Sân Phơi đồ, Sân Thượng

Tình trạng pháp : sổ hồng riêng, có hổ trợ vay NH

Giá 5ty460 

Nằm ngay trong KDC, đường Thạnh Xuân Đang mở rộng 30m, giao Thông thuận tiện chỉ 1 ph ra Hà Huy Giáp về Gò Vấp, Hướng thì về Lê Thị Riêng đi Bến xe An Sương, Trường chinh Tân bình,

vị trí hẻm 7m đường Thạnh Xuân 25 TX25, đường Thạnh Xuân 22 TX22, đường Thạnh Xuân 21 TX21,  đường Thạnh Xuân 24 TX24 đường Hà Huy Giáp, đường Tô Ngọc Vân, đường Lê Thị Riêng, Uỷ Ban Nhân dân P. Thạnh Xuân, Chợ Thạnh xuân, Chợ Minh Phát

LH Thuỳ Dung

Xem thêm

Xem trên bản đồ

Bất động sản cùng khu vực