Sở hữu ngay đất dự án 279,79998779296875 m2 tại An Phú - Quận 2 - TP Hồ Chí Minh, giá 97,9 tỷ

Đường Nguyễn Hoàng, Phường An Phú, Quận 2, TP Hồ Chí Minh

Giá: 97,9 Tỷ

Diện tích: 279,79998779296875 m2

Giá/m2: 349,89 Triệu/m2

1039929

Mua bán

Thông tin mô tả

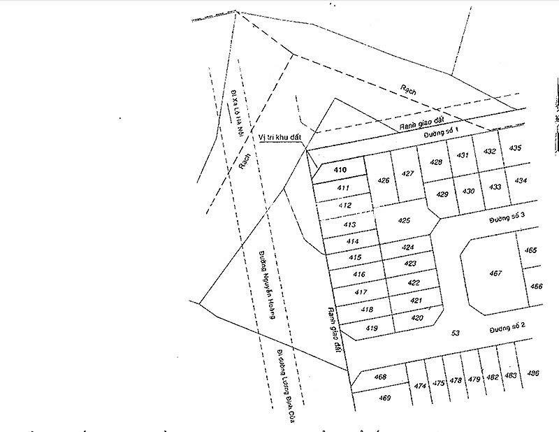
Bán 2 nền đất MT Nguyễn Hoàng - khu compound đồng bộ, P. An Phú, Q. 2 cũ, TP Thủ Đức

- DT & thông tin:

+ Lô 1, có DT: 146 mét vuông, giá 51,135 tỉ

• Lô 2, có DT: 133.8 mét vuông, giá 46,830 tỉ

• Tổng 2 lô, DT: 279.8 mét vuông, tổng giá: 97,965 tỉ

- Hiện trạng: Đất trống, chưa xây dựng.

- pháp : sổ hồng từng lô, chính chủ, không cầm cố.

📍 Vị trí đắc địa: Đường Nguyễn Hoàng, hạ tầng hoàn thiện, KDC phát triển, giao thông thuận lợi. Tiềm năng tăng giá cao khi khu vực ngày càng đc đầu tư đồng bộ.

Xem thêm

Xem trên bản đồ

Bất động sản cùng khu vực