Bán gấp đất 175 m2, mặt tiền 5m tại Xã Long Tân - Đất Đỏ - Bà Rịa Vũng Tàu, giá tốt

Đường Long Tân, Xã Long Tân, Đất Đỏ, Bà Rịa Vũng Tàu

Giá: Thỏa thuận

Diện tích: 175 m2

904818

Mua bán

Thông tin mô tả

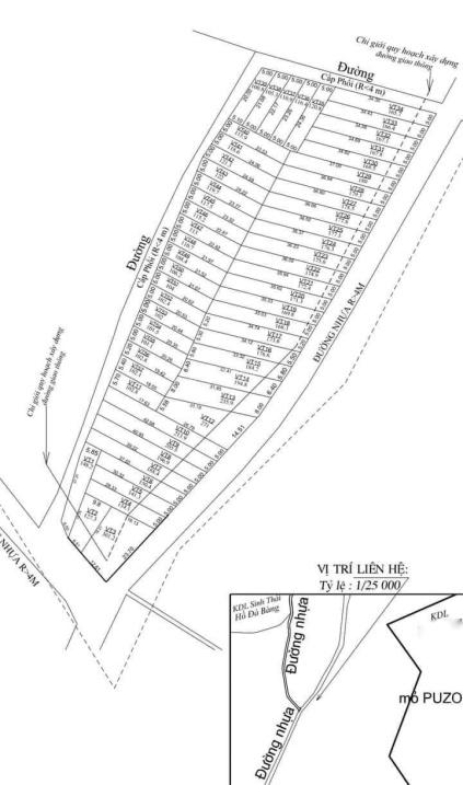
57 mảnh đất Long Tân - Đất Đỏ - BRVT ưu tiên khách sỉ hết.

- Kế bên hotel 5* hồ Đá Bàng.

- Đường nhựa tim vàng Núi Thơm - Long Tân.

- Giáp ranh TP Bà Rịa - Long Phước.

- Giá 40 tỉ quay đầu, mua trên 10 lô có giá mềm cho nhà đầu .

DT: 5x20m, 5x27m, 5x30m, 5x35m thổ cư 80 mét vuông mỗi lô.

contact em ngay sổ sẵn: 0973 307 *** Zeniland làm việc chủ.

Vị trí: Https://maps.app.goo.gl/w1mAJhQz3DeoVoFM7?g_st=ic

Xem thêm

Xem trên bản đồ

Bất động sản cùng khu vực